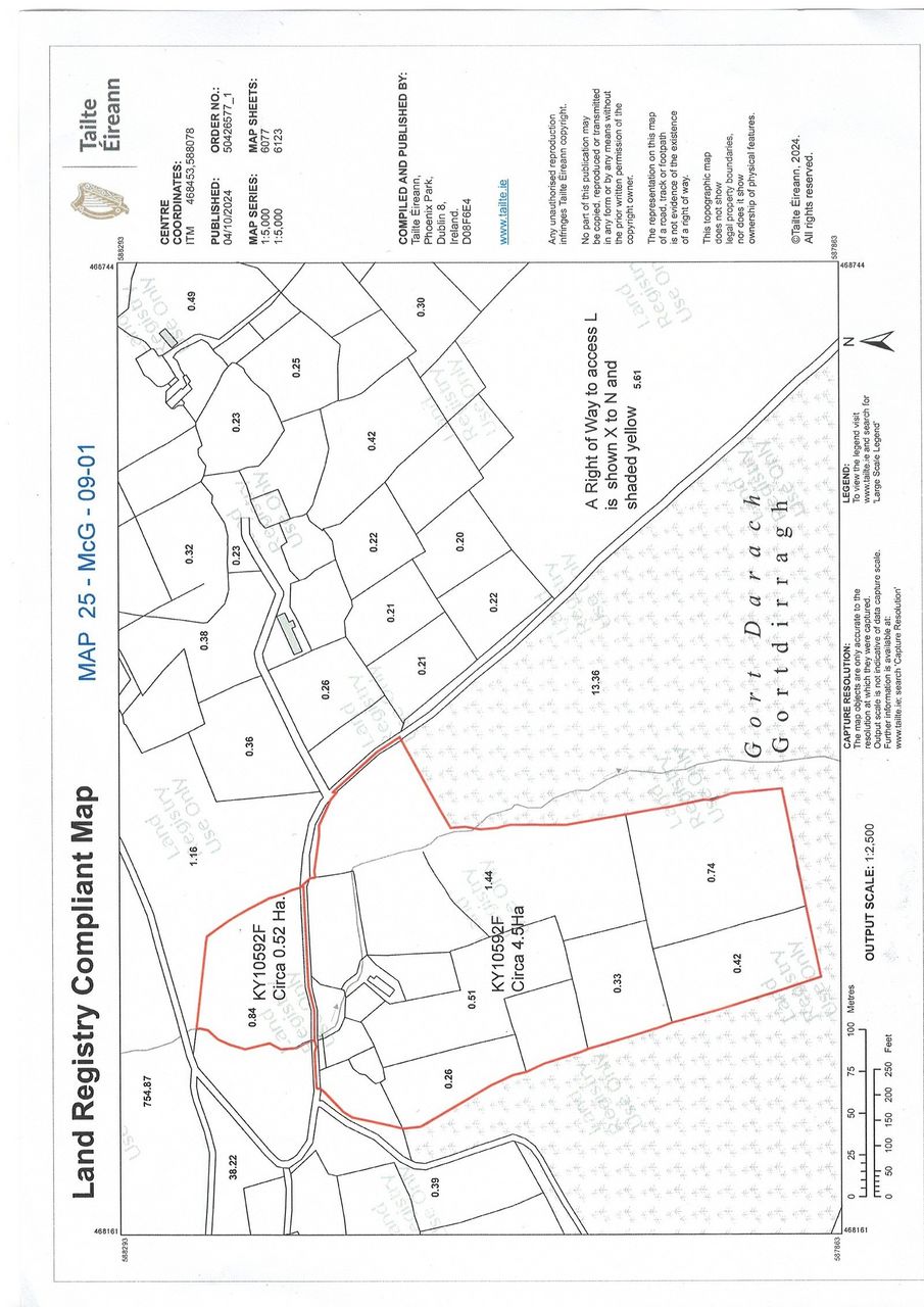
Jim Burns Town & Country Auctioneers are delighted to bring to market Gortdirragh, Glencar, Co. Kerry Part Folio: KY10592F The property contains a total acreage of c. 17.3acres on 2plots. The land has been reclamained in recent times. Plot 1 contains c. 5.31acres of land with views of Caragh Lake. Plot 2 contains c. 12acres with old ruin with corrugated roof. Excellent development opportunity (Subject to Planning Permission) in an area of stunning scenery and natural beauty. Situated on a quiet country road commanding magnificent views of McGillycuddy Reeks and surrounding countryside. Situated adjacent the Kerry Way, close to Blackstones Bridge, Caragh Lake, Caragh River. Ideally suited for a variety of buyers/purchasers such as first-time buyer, family home, retirement home or holiday home. The property is also suited for the outdoor enthusiasts with Kerry Way close by as well as Water Sports at Caragh Lake, Horse Riding, Golfing, Fishing, Hill Walking and mountain climbing close by. About Glencar: Glencar is located above Caragh Lake along the Ring of Kerry. Glencar is nature lovers paradise, the area is naturally beautiful with Lickeen Forest, Caragh River and Caragh Lake. It is a spot that anglers return to on a yearly basis. The countryside lover will also be delighted with the country walks. Find typical rural Irish life in this welcoming village, offering outdoor adventures, historic treasures and plenty of time to appreciate the quiet peace. Enjoy the slow pace of traditional village life in Glencar, a quaint spot nestled in the hills of County Kerry. Take long walks in the country, explore the sites of ancient settlements, look at mountain vistas and come home to a cozy homestead in the evening. Discover lakes and rivers winding between rugged mountains where wildflowers grow. Wander through green forests and mysterious bogs. Cast a line in the beautiful Caragh Lake and Caragh River, popular with avid fishermen for their schools of trout and salmon. Join a local tour to hunt for rabbits, pheasants, ducks and snipes that abound in this region. Walk along the river and see the historic Blackstones Bridge with its stone arches. Look for early Christian rock carvings at Cloon, a fascinating window into history. In Lickeen Forest, walk under the boughs of weathered trees covered in moss. Look up and see the summit of Carrauntoohil, the tallest mountain in Ireland. Visit the two spectacular gaps, Ballaghisheen Pass and Ballaghbeama Gap, passes that link South Kerry with Mid Kerry. Hike or ride your bike over these hills and encounter barely a soul. Your companions will be the peaceful herds of sheep or the birds flying overhead. Find opportunities for many long and beautiful walking tours, such as a portion of the long-distance Kerry Way. At Cappanalea Outdoor Education Centre, go canoeing, kayaking, climbing and orienteering with the whole family. At the Red Fox Pub, next to nearby Kerry Bog Village, experience classic Irish hospitality as its been since the 18th century. This is just off the Ring of Kerry, the road that takes you all around this unique peninsula. Stay in one of Glencars classic country houses for a glimpse into how life has been in this part of the world for centuries. In town find a collection of these inns and a local store. Glencar is remote but connected to neighboring villages Keeas and Coad by narrow roads. DISCLAIMER: Jim Burns & Co. Ltd for themselves and for the vendors or lessors of the property whose agents they are, give notice that: (i) The particulars are set out as a general outline for the guidance of intending purchasers or lessees, and do not constitute part of, an offer or contract. (ii) All descriptions, dimensions, references to condition and necessary permissions for use and occupation, and other details are given in good faith and are believed to be correct, but any intending purchasers or tenants should not rely on them as statements or representations of fact but must satisfy themselves by inspection or otherwise as to the correctness of each of them. (iii) No person in the employment of Jim Burns & Co. Ltd has any authority to make or give representation or warranty whatever in relation to this property.
Terms & Conditions - Privacy Policy - Cookie Policy - Pay Now
©2025 - All Rights Reserved Jim Burns Auctioneers - Website by Splash